Движение на проспекте Республики в Астане восстановят 20 июля

Асель Сатаева
Асель Сатаева Выпускающий редактор

ПОДЕЛИТЬСЯ

Движение на проспекте Республики в Астане восстановят 20 июля

Движение на проспекте Республики в Астане полностью восстановят 20 июля, сообщает Tengrinews.kz со ссылкой на акимат столице.  


Движение на проспекте Республики в Астане полностью восстановят 20 июля, сообщает Tengrinews.kz со ссылкой на акимат столице.  

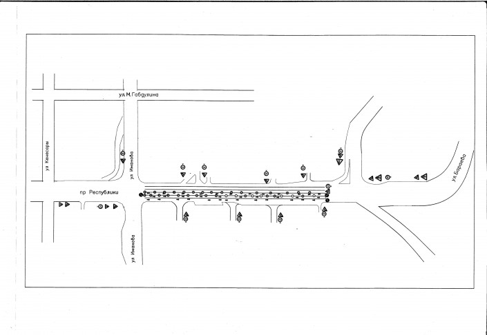
Столичным Управлением автомобильных дорог города продолжаются ремонтные работы по проспекту Республикина участке от  улицы Иманова до транспортной развязки в районе микрорайона "Самал".

"С 17 по 19 июля этого года на указанном участке сохраняется частичное перекрытие движения автотранспортных средств. Движение транспорта на проспекте Республики будет полностью восстановлено 20 июля", - говорится в распространенной информации.  

Во избежание возникновения заторовых ситуаций на дорогах города Управление рекомендует жителям и гостям столицы заранее планировать свои маршруты. 

Ранее сообщалось, что проспект Республики перекроют с 14 по 17 июля.

Tengrinews
Читайте также

Курс валют

 481.88   556.79   5.72 

 

Погода

Алматы
А
Алматы 12
Астана -3
Актау 17
Актобе 2
Атырау 12
Б
Балхаш 8
Ж
Жезказган -1
К
Караганда 1
Кокшетау 1
Костанай 14
Кызылорда 0
П
Павлодар 1
Петропавловск 0
С
Семей 9
Т
Талдыкорган 11
Тараз 15
Туркестан 2
У
Уральск -1
Усть-Каменогорск 16
Ш
Шымкент 6

 

Редакция Реклама
Социальные сети